00件
最近見た物件
00件
検討リスト
柳井市の不動産|株式会社ティーレックス > (戸建(売買))地域から探す > 柳井市 > 柳井市日積 > 物件詳細
朝の陽ざしが毎日の快適なリズムを作る東南向きの物件です。庭が素晴らしい物件。古民家カフェ、民泊、いろいろな用途が可能です。畑、田もあり農機具も一式あります。家庭菜園をしてみませんか。子供ものびのびと生活することが出来る、間取の10DKの物件です。ティーレックスには、一戸建て情報が豊富にございます。まずはお気軽に0820-22-5020/info@t-rexfs.co.jpまでお問い合わせ下さい。











(※元利均等方式 金利5.00%まで ※返済年数5~50年まで入力できます)
(※ボーナスは年2回で計算しています。1000万円まで入力できます)
(※物件購入時、その他諸費用が発生する場合がございます)
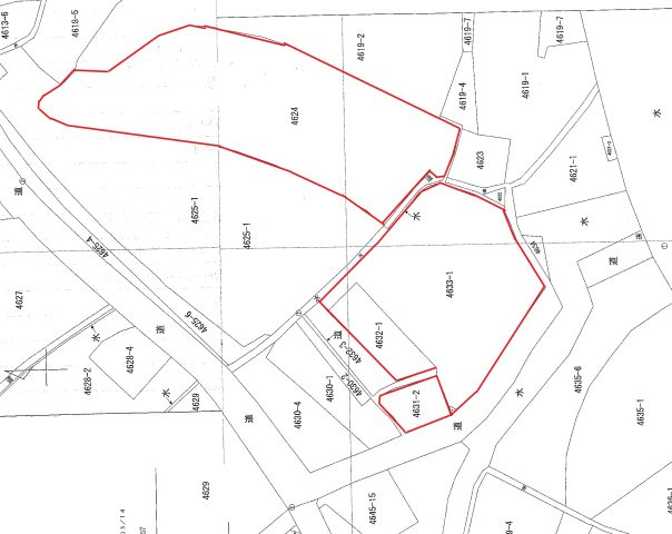
| 所在地 | 山口県柳井市日積4633-1 | ||
|---|---|---|---|
| 交通 |
|
||
| 間取り/詳細 | 10DK/ | 建物面積(坪数) | 278.24㎡(84.16坪) |
| 価格 | 1,200万円 | ||
| 駐車場/月額料金 | 有/- | ||
| 土地の敷金/保証金 | -/- | 借地料/借地期間 | -/- |
| 土地権利 | 所有権 | 土地面積(坪数) | 1223.35㎡(370.06坪) |
| 傾斜地部分面積 | - | 路地状敷地 | - |
| 私道負担面積/セットバック | -/無 | 高圧線下面積 | - |
| 地目/地勢 | 宅地/- | 接道状況 | 一方(南東) |
| 建ぺい率/容積率 | 60%/100% | 用途地域 | 無指定 |
| 都市計画 | 非線引区域 | 種別/構造 | 中古一戸建/木造 |
| 階建 | 2階建 | 築年月(築年数) | 1977年 4月 (築48年) |
| 総区画数/販売区画数 | -/- | 向き | - |
| 現況 | 居住中 | その他の法令上の制限 | - |
| 取引態様/引渡時期 | 専任媒介/相談 | 建築確認番号 | - |
| 物件番号 | 93084202 | 取引条件の有効期限 | 2025年12月23日 |
| 設備条件 |
|
||
| 備考 | 柳井市日積:眺望良好なので遠くの景色まで見渡せます。東南向きの物件です。設備サービスの充実した10DKはファミリーの方にもお勧めです。庭が素晴らしい物件。古民家カフェ、民泊、いろいろな用途が可能です。畑、田もあり農機具も一式あります。家庭菜園をしてみませんか。子供ものびのびと生活することが出来る、間取の10DKの物件です。知識豊富なティーレックスのスタッフが、住まい探しをサポート致します。まずは0820-22-5020かinfo@t-rexfs.co.jpから、お気軽にお問い合わせください。 | ||
| 取扱会社 |
|
||
| QRコード |
このQRコードを読み取ることで、スマホでも物件情報を確認できます。 |
||
※地図上に表示される物件の位置は付近住所に所在することを表すものであり、実際の物件所在地とは異なる場合がございます。
柳井市日積に関するこだわり条件から探す